1129 E 6th StCorona, CA 92879



Mortgage Calculator
Monthly Payment (Est.)
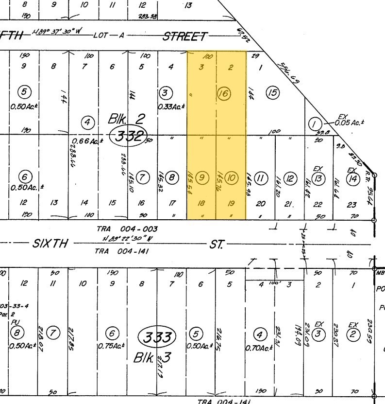
$9,102Exceptional development opportunity in a rapidly growing corridor of Corona. This ±0.67-acre parcel at 1129 E 6th Street is zoned C3, offering versatile mixed-use potential including multifamily, retail, and live-work concepts (buyer to verify with the City of Corona). The flexible zoning makes this site ideal for developers looking to capitalize on increasing demand for housing and neighborhood-serving commercial in a high-visibility location. The property features major street frontage and excellent accessibility, situated just minutes from the 91 and 15 freeways, providing strong connectivity throughout Riverside and Orange Counties. Its proximity to the Corona Metrolink Station further enhances its appeal for higher-density residential or mixed-use projects targeting commuters. Surrounded by established residential communities, retail centers, and ongoing development, the site is well-positioned for a project that meets the area’s continued growth and housing demand. Utilities are available to the site, including water, sewer, gas, and electricity, along with existing street improvements, helping streamline the development process. With strong fundamentals, strategic location, and flexible zoning, this property presents a compelling opportunity for developers and investors seeking to deliver a high-impact project in one of Corona’s expanding submarkets.
| 12 hours ago | Listing updated with changes from the MLS® | |
| 12 hours ago | Listing first seen on site |
This information is for your personal, non-commercial use and may not be used for any purpose other than to identify prospective properties you may be interested in purchasing. The display of MLS data is usually deemed reliable but is NOT guaranteed accurate by the MLS. Buyers are responsible for verifying the accuracy of all information and should investigate the data themselves or retain appropriate professionals. Information from sources other than the Listing Agent may have been included in the MLS data. Unless otherwise specified in writing, the Broker/Agent has not and will not verify any information obtained from other sources. The Broker/Agent providing the information contained herein may or may not have been the Listing and/or Selling Agent.

Did you know? You can invite friends and family to your search. They can join your search, rate and discuss listings with you.